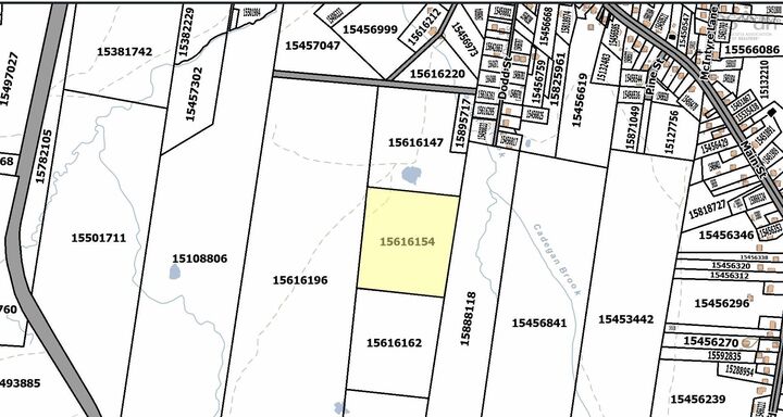
Dodd Street, Street Glace Bay, NS B1A 4S9
Listing Courtesy of: NOVA SCOTIA - IDX / Century 21 Optimum Realty / Steven MacNeil

  Dodd Street, Street Glace Bay, NS B1A 4S9

Active (26 Days)
$44,900 (CAD)

Description

10 acres of land in Glace Bay at just $4,490 per acre. Whether you're looking to add acreage to your portfolio or a neighbouring landowner looking to expand, this is an affordable entry point into Cape Breton land ownership at only $0.10 per square foot. Priced to sell.

MLS®:
202603552
Lot Size
100 acres
Type
Land
Views
No
County
Cape Breton Regional Municipality

Listed By

Steven MacNeil, Century 21 Optimum Realty
Source
NOVA SCOTIA - IDX
Last checked Mar 25 2026 at 3:36 AM ADT
Bathroom Details
Subdivision
  • N/A
Powered by Walk Score®
Disclaimer: Square footage is based on information available to agent, including County records. Information has not been verified by agent and should be verified by buyer.